Spuszczel pospolity (Hylotrupes bajulus) to szkodnik stanowiący realne zagrożenie dla drewnianych konstrukcji w budynkach mieszkalnych i użytkowych. Atakuje więźby, poddasza, belki stropowe i stolarkę, a jego larwy potrafią przez wiele lat drążyć korytarze wewnątrz drewna, prowadząc do utraty nośności i kosztownych uszkodzeń. W artykule wyjaśniamy, jak wygląda spuszczel pospolity, zwalczanie tego szkodnika i najważniejsze działania pozwalające zapobiec dalszym zniszczeniom.
W artykule:
- Spuszczel pospolity (hylotrupes bajulus) – charakterystyka i cechy rozpoznawcze
- Jak rozpoznać obecność szkodnika w drewnie konstrukcyjnym?
- Spuszczel: larwa – rozwój, długość życia i destrukcja wewnątrz drewna
- Dlaczego zasiedla więźby, belki i elementy konstrukcji w budynkach?
- Spuszczel pospolity: zwalczanie – metody profesjonalne i skuteczność działań
- Jak zapobiec ponownemu zasiedleniu drewna i utracie nośności konstrukcji?
- Podsumowanie – najważniejsze wnioski i decyzje prowadzące do ochrony konstrukcji
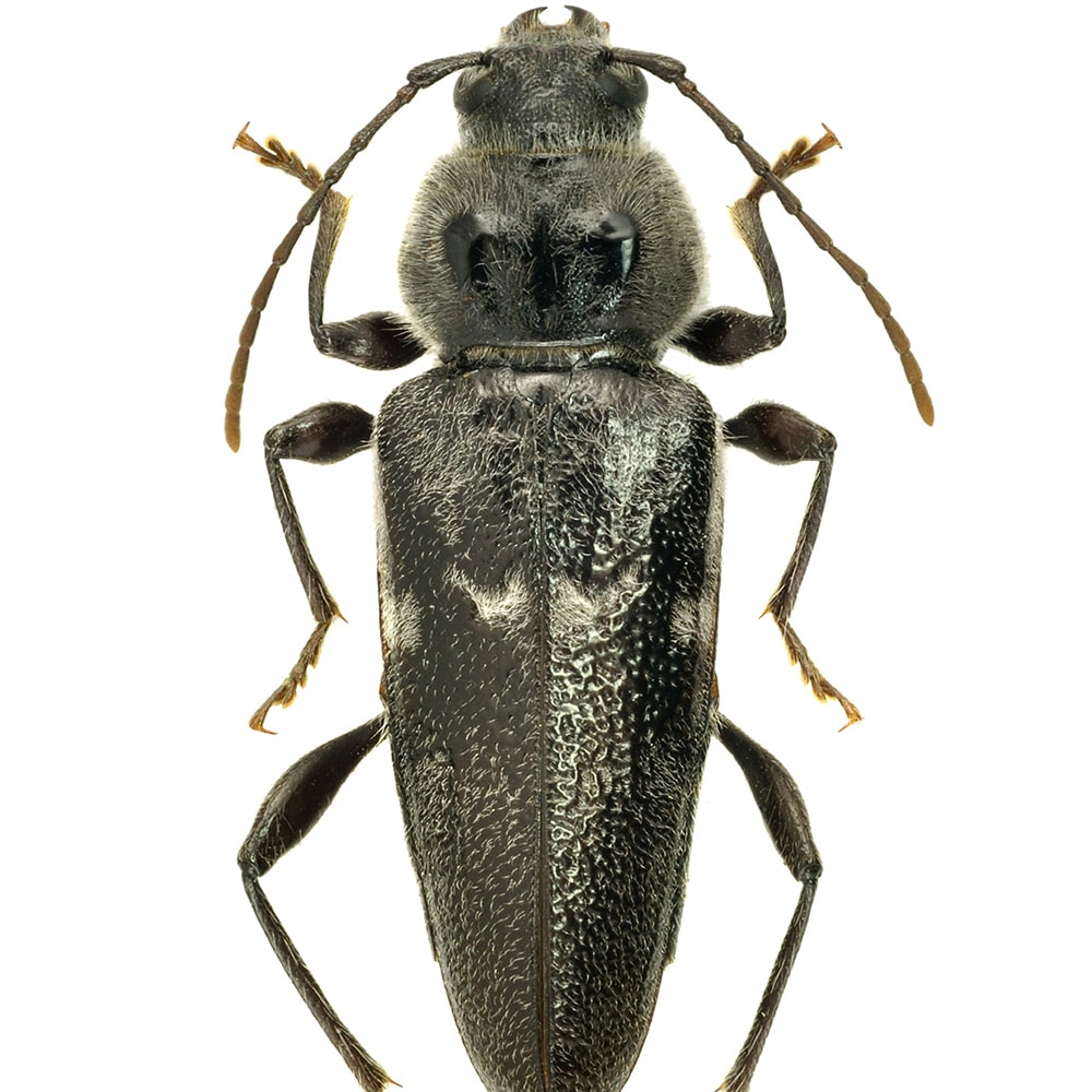
Spuszczel pospolity (hylotrupes bajulus) – charakterystyka i cechy rozpoznawcze
Spuszczel pospolity to owad z rodziny kózkowatych, należący do najgroźniejszych szkodników drewna konstrukcyjnego. Dorosłe osobniki osiągają długość do 25 mm, mają ciemnobrunatne ciało i długie czułki. Gatunek ten rozwija się głównie w drewnie iglastym, szczególnie sosnowym, o niskiej wilgotności. Jego obecność zdradzają owalne otwory wylotowe i drobny pył drzewny, powstający w wyniku żerowania larw. Ocenę ryzyka zasiedlenia i stopnia uszkodzeń można przeprowadzić poprzez audyt DDD, który pozwala ustalić zakres działań ochronnych. Wiedza o biologii spuszczela pospolitego (hylotrupes bajulus) jest ważna, by skutecznie zapobiegać jego rozwojowi w elementach konstrukcyjnych.
Jak rozpoznać obecność szkodnika w drewnie konstrukcyjnym?
Objawy działalności, jakie pozostawia spuszczel pospolity, są często trudne do wychwycenia we wczesnym stadium. Ślady żerowania to drobny, mączysty pył, owalne otwory o średnicy kilku milimetrów oraz delikatne dźwięki chrzęszczenia, które można usłyszeć w cichych pomieszczeniach. Drewno zaatakowane przez tego szkodnika traci spójność, staje się kruche i ma charakterystyczny zapach stęchlizny. Dokładną ocenę konstrukcji umożliwia audyt biologa terenowego, który pozwala określić aktywność larw i stopień degradacji drewna. Takie działania pomagają zapobiec dalszemu rozwojowi i ograniczyć koszty napraw, zanim zniszczenia staną się poważne. A żeby zdobyć wiedzę potrzebną do oceny szkodnika, zapraszamy na szkolenie DDD.
Spuszczel: larwa – rozwój, długość życia i destrukcja wewnątrz drewna
Największe zagrożenie stanowi spuszczel, jako larwa, która po wylęgu natychmiast wnika w głąb drewna i zaczyna intensywne żerowanie. Rozwój larwy może trwać od 3 do nawet 10 lat, w zależności od temperatury i wilgotności. W tym czasie drąży liczne korytarze, niszcząc strukturę włókien i powodując utratę wytrzymałości elementów. Larwa spuszczela pospolitego preferuje drewno iglaste z dużą zawartością bielu, co czyni więźby dachowe i stare belki szczególnie narażonymi na uszkodzenia. Wiedza o cyklu rozwojowym pozwala planować skuteczne zabiegi profilaktyczne i ograniczać ryzyko dalszych strat powodowanych przez spuszczela pospolitego.
Dlaczego zasiedla więźby, belki i elementy konstrukcji w budynkach?
Spuszczel pospolity wybiera miejsca ciepłe, suche i słabo wentylowane, dlatego najczęściej spotykany jest w poddaszach oraz konstrukcjach dachowych. Samice składają jaja w pęknięciach lub nierównościach drewna, a wylęgające się larwy rozwijają się w osłoniętych warstwach materiału. Drewno niepoddane impregnacji staje się idealnym środowiskiem do zasiedlenia. Aby zminimalizować ryzyko, należy regularnie kontrolować stan konstrukcji i utrzymywać właściwą cyrkulację powietrza. W obiektach narażonych na ataki stosuje się działania profilaktyczne zgodne z procedurami Pest Control, co znacznie ogranicza prawdopodobieństwo ponownego pojawienia się spuszczela pospolitego.
Spuszczel pospolity: zwalczanie – metody profesjonalne i skuteczność działań
Profesjonalne zwalczanie spuszczela pospolitego obejmuje kilka etapów i zależy od stopnia zaawansowania infestacji. Wśród najczęściej stosowanych metod znajdują się:
- iniekcje preparatów biobójczych w otwory larwalne,
- impregnacja powierzchniowa i ciśnieniowa,
- zabiegi mikrofalowe lub termiczne eliminujące larwy w drewnie.
Spuszczel pospolity i jego zwalczanie wymaga również usunięcia najbardziej zniszczonych elementów oraz ograniczenia źródeł ponownego zasiedlenia. Szkodnik ten wykazuje dużą odporność na warunki środowiskowe, dlatego konieczna jest dokładna kontrola po zakończeniu zabiegów. Tylko kompleksowe działania pozwalają skutecznie powstrzymać rozwój populacji spuszczela pospolitego.
Jak zapobiec ponownemu zasiedleniu drewna i utracie nośności konstrukcji?
Skuteczna ochrona przed larwą spuszczela wymaga utrzymania właściwej wilgotności i temperatury w pomieszczeniach oraz stosowania impregnatów o potwierdzonej skuteczności. Drewno, w którym wcześniej rozwijał się ten szkodnik, powinno być dokładnie oczyszczone i zabezpieczone chemicznie. Stały nadzór nad konstrukcją, kontrola stanu technicznego i regularne przeglądy zmniejszają ryzyko ponownego zasiedlenia. W przypadku nowych obiektów istotne jest użycie certyfikowanych materiałów, które wykazują odporność tego szkodnika. Profilaktyka i właściwa konserwacja to najlepsze sposoby na zachowanie trwałości i bezpieczeństwa konstrukcji przez wiele lat.
Podsumowanie – najważniejsze wnioski i decyzje prowadzące do ochrony konstrukcji
Spuszczel pospolity to szkodnik, który może przez lata niszczyć drewno, powodując poważne osłabienia konstrukcyjne. Skuteczne zwalczanie wymaga wiedzy technicznej, doświadczenia i precyzyjnej diagnostyki, którą gwarantuje Europejski Instytut Bezpieczeństwa Żywności (EIBZ). Instytut łączy ekspertyzę, nowoczesne metody badawcze i praktykę terenową, zapewniając najwyższy poziom ochrony. Skontaktuj się z EIBZ i powierz bezpieczeństwo swojej konstrukcji profesjonalistom, którzy wiedzą, jak skutecznie chronić drewno.